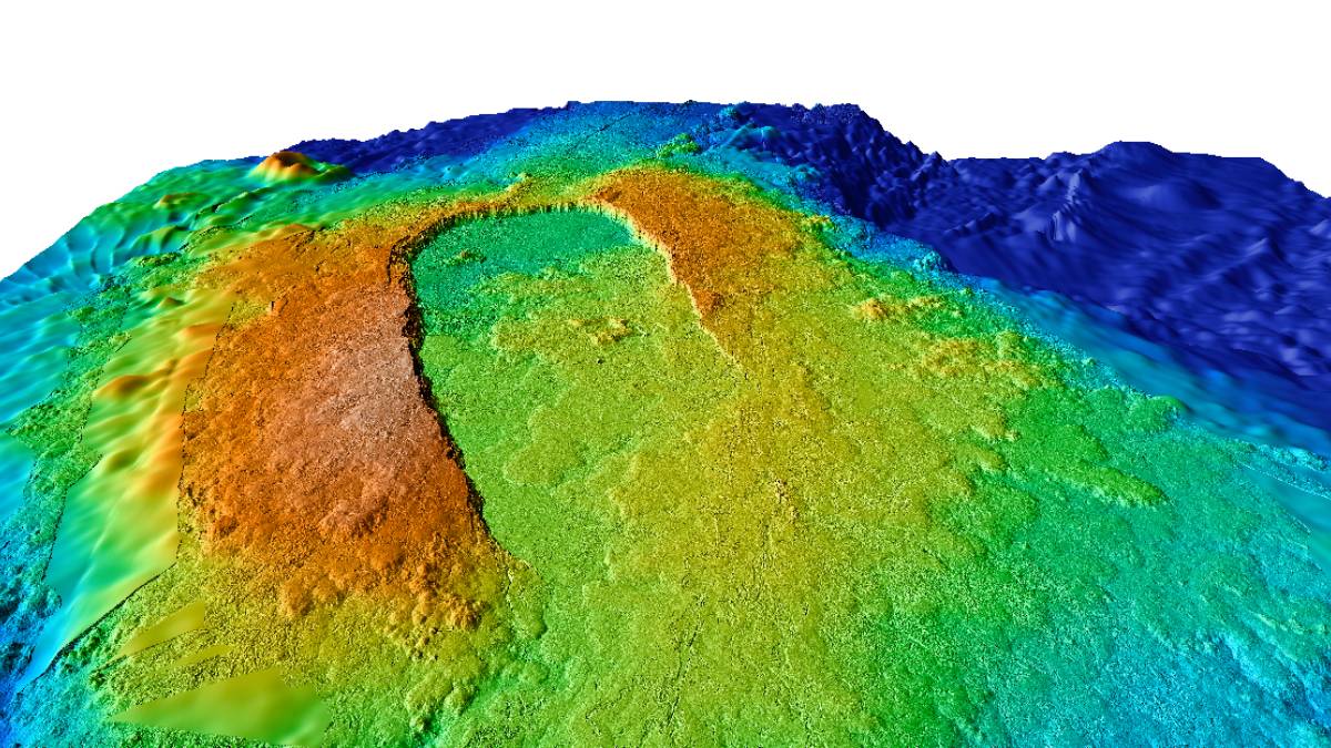
A unos 480 kilómetros de la costa de Oregón, en EE.UU., descansa un gigante silencioso bajo el Océano Pacífico: el Axial Seamount.
Este colosal volcán submarino, situado casi a 1,4 km de profundidad, ha concentrado la atención de geólogos y vulcanólogos por su reciente aumento de actividad sísmica.
En junio, se registraron más de 2 000 sismos en un solo día, aunque el promedio actual ronda los 100 movimientos diarios, lo que sugiere una acumulación constante de presión magmática.
Se trata del volcán más activo del noreste del Pacífico, tanto que se ha convertido en un referente global para estudiar el comportamiento volcánico submarino. A diferencia de otros volcanes menos previsibles, el Axial Seamount, con erupciones registradas en 1998, 2011 y 2015, ha seguido un patrón identificable: antes de manifestarse, experimenta una fase de hinchamiento gradual de su caldera, acompañada de una oleada de sismicidad.

Volcán submarino Axial Seamount.
Los científicos lo monitorean a través del Regional Cabled Array, una red de sensores conectados al lecho marino, capaces de enviar datos en tiempo real sobre vibraciones, presión y cambios topográficos. Esto permite un seguimiento constante y detallado del volcán, considerado un auténtico laboratorio natural de volcanismo submarino.
Volcanes submarinos en el mundo
- Kick ’em Jenny – Activo en el Caribe, al norte de Granada; representa riesgo potencial de tsunami.
- Kavachi – En las Islas Salomón; ha emergido repetidamente, creando y destruyendo islas temporales.
- Loihi Seamount (Kamaʻehuakanaloa Seamount) – Situado al sureste de Hawái, es el volcán submarino más joven de la cadena hawaiano-imperial.
- Hunga Tonga–Hunga Haʻapai – En el Pacífico cerca de Tonga, protagonizó una gran erupción visible en 2022.

Kick ’em Jenny.
- Tuzo Wilson Seamounts – Dos volcanes activos cerca de la costa de Columbia Británica, Canadá; parte de la cadena Kodiak–Bowie.
- Daikoku Seamount – En las Islas Marianas del norte; cuenta con un sistema hidrotermal activo y un cráter de azufre llamado “Caldero de Azufre”.
- Dom João de Castro Bank – En el Atlántico central, entre São Miguel y Terceira (Azores); su última gran erupción data de diciembre de 1720.
- Marsili Volcano – El mayor volcán submarino de Europa, ubicado en el mar Tirreno (Italia); con riesgo potencial de tsunami ante una colapso de pared.

Marsili Volcano.
Afortunadamente, si bien una erupción en el Axial Seamount podría remodelar partes del fondo marino y alterar ecosistemas locales, los expertos coinciden en que no representa peligro para la población humana, ni es probable que genere tsunamis o fenómenos catastróficos detectables en tierra.
También te puede interesar: